
近日,超级气旋风暴摩卡登陆缅甸,残余环流进入我国,造成广泛影响。摩卡生成之前,中气爱核心技术成员NZK调试刚刚研发完成的AI模型“坤舆”,并和中气爱其他成员通力合作,将其投入摩卡的路径预测之中。在摩卡还未获得命名时,坤舆模型的输出结果认为,摩卡将在缅甸实兑登陆(可视化结果包含在5月9日的中气爱b站视频中)。

摩卡生成前,坤舆模式对摩卡登陆地的预报数据可视化结果,中气爱制作
5月10-13日,坤舆模型的输出结果略有调整,但路径始终稳定,登陆点调整范围都在70公里之内(5月11日的结果包含在当天的中气爱微博中)。最终,摩卡于5月14日下午在缅甸实兑以北20公里处登陆。坤舆模型对摩卡的24-120小时路径预测误差均小于100公里,小于ECMWF。不过,坤舆模型对摩卡的强度预测还不太理想,与实际误差较大。
一、关于坤舆模型
坤舆模式并非ECMWF那样的数值预报模式,而是AI天气模式,训练数据采用ERA5再分析数据集,训练目标是最小化模式输出与训练数据之间的均方根误差,并进行了多步自回归训练以减少多步误差累积问题,这两点和其他AI天气模型如“盘古”、“风乌”、“GraphCast”类似,但在其他方面有所不同。

摩卡生成前,ECMWF模式对摩卡的集合预报数据可视化结果,中气爱制作
坤舆的训练在一台含若干80G内存英伟达A100显卡的机器上进行了将近三周,总开销远小于“风乌”等模型,不过也存在训练不足的问题,从目前的数据看,模型的均方根误差与“风乌”、“GraphCast”存在差距,与“盘古”相近。从目前的数据来看,也达到或超过了ECMWF数值模型的水平。
二、坤舆模型的架构
采用经典的“U-Net”架构,分辨率减小四次后增加四次,这样最终的输出分辨率与输入相同,并在中间增加跳层连接。在经纬度坐标下,极区变形很严重,因而主干部分不能直接套用传统的卷积,需要做改动。在坤舆模式里,我们替换成了两种修改版的卷积。

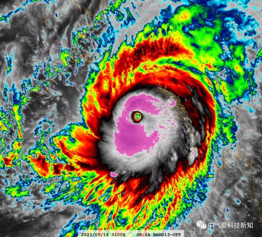
超级气旋性风暴摩卡近巅峰云图,中气爱制作
三、坤舆模型的缺陷
目前观察到的问题主要有:1、极区误差累积过快,尤其是风速,并带动其他变量逐渐偏离正常值,这是因为模型输入的风速被乘了纬度余弦。2、地形复杂的地方误差累积也相对较快,可能是训练不充分造成。3、温度低的地方相对湿度误差比较大,很容易低于0%或超过100%,这是因为模型的输入是绝对湿度。
四、AI模型和传统数值预报模型的主要区别
1、基本思想方面,在ECMWF等数值模型中,人类从物理定律和实验结果出发总结推导了大量大气运动有关的物理方程,通过一些数学方法,在计算机上对这些方程进行离散化地求解;而在“坤舆”等AI天气预报模型中,则是先设定一个含有海量待定参数的计算框架,再让计算机自行通过大量历史大气分析数据优化这些参数,使得计算结果能够尽量与这些数据接近。
2、运行维护方面,数值模型严格按照人类设定的数学公式运行,只需要阅读代码即可理解,但同时无法保证数学公式和代码编写完全正确,可能以此导致一些偏差,并且需要大量研究作为基础,也需要大量物理学家、软件工程师进行更新维护;AI模型对大气运动的理解则蕴含在上亿级别的海量参数中,无法进行直接的解释,但因为训练目标是与实际数据接近,因此不太可能有系统性的偏差,也不依赖大量人力资源。
3、计算成本方面,数值模型的计算开销远大于目前的所有AI模型。全球数值预报模型必须运行在大型超级计算机集群中,每次预报需要一个小时以上;AI模型总体成本要低得多,“坤舆”成本为最低。坤舆运行则只需要一块内存稍大的显卡、配置尚可的设备,单次预报时间非常短,可谓立等可取。
从本次实验结果来看,包括坤舆模型在内,AI天气预报模型暂时不能颠覆传统数值模型,但有成为天气预报强有力辅助工具的潜力。目前,坤舆模型已经可以输出全球各地的天气预报结果,中气爱也在继续修正优化坤舆模型。限于成本和资源,坤舆模型暂无法提供访问接口,但在大型天气即将到来时,中气爱将在事前提供可验证的可视化预报数据,供自己以及对AI模型感兴趣的朋友交叉验证,并不断修正优化,让坤舆模式持续进步。
中气爱科技新知,让大气科学广为人知